据统计,云南中药资源经调查有6559种,品种和数量均属全国之首,并有许多特有的品种!
主要动植物药材的产(藏)量近10亿公斤。品种和数量均属全国之首,并有许多特有的品种。
但是!
针对云南人而言,这根本不算什么
在云南人的菜单上
这些牛逼哄哄的中草药
就是些“小野菜”!
咱就不说折耳根了

清热解毒、消肿疗疮、利尿除湿、清热止痢、健胃消食,还具有抗菌、抗病毒、提高机体免疫力等作用。可以治疗热毒、湿邪、疾热为患的肺痈、疮疡肿毒、痔疮便血、脾胃积热等等等等……
黄泡

小时候都在山里摘来吃过吧,这可是开胃、柔肝缓急的宝贝,小孩子吃特别好。
乌泡

也是小时候摘来吃的吧,果实和黄泡功效相同,叶和嫩尖用红糖做引子煎服,治肝急水泻有奇!效!并且毫无副作用。
一串红

摘下来,从花屁股上一吸,甜得像初恋!然而这可是全身上下都能用来入药的好东西,可以清热、凉血、消肿。
黄花菜

煮汤的时候超级好吃有没有!而且它还含有丰富的花粉、糖、蛋白质、维生素C、钙、脂肪、胡萝卜素、氨基酸等人体所必须的养分,其所含的胡萝卜素甚至超过西红柿的几倍!有止血、消炎、清热、利湿、消食、明目、安神等功效,对治疗吐血、大便带血、小便不通、失眠、乳汁不下等都有效果,可作为病后或产后的调补品。
酢浆草

小时候都叫“酸咪咪”,哪里都有,一抓一把擦擦干净就往嘴里塞。然而它可以清热利湿,凉血,散瘀,消肿,解毒,治泄泻、痢疾、黄疸、淋病、赤白带下、麻疹、吐血、衄血、咽喉肿痛、疔疮、痈肿、疥癣、痔疾、脱肛、跌打损伤、汤火伤……十分厉害。
水芹菜

水边或者湿地边成片都是,炒来吃赞得不要不要的,能够治疗麻疹初起,高血压,失眠。
荠菜

荠菜饺子、荠菜炒肉、凉拌荠菜……都说饿了。人家可是能和脾,利水,止血,明目,治痢疾、水肿、淋病、乳糜尿、吐血、便血、血崩、月经过多、目赤疼痛的呢!
金银花

有没有吃过有没有吃过!金银花全身都能入药,是国务院确定的名贵中药材之一!具有清热解毒、抗菌消炎、保肝利胆的功能。
灰灰菜

漫山遍野的都是啦,能清肺腑淤积哟~
野薄荷

超级清爽有木有,人家能散风热,逐秽气,解鱼虾毒。
杜仲

诶,有事没事炖个排骨汤什么的,总会往里面加一点吧,有事没事泡个药酒什么的,总会往里面加一点吧,就是有事没事卤个鸡爪,也会往里面加一点吧。杜仲啊,可是有补益肝肾、强筋壮骨、调理冲任、固经安胎的功效,能治疗肾阳虚引起的腰腿痛或酸软无力,肝气虚引起的胞胎不固,阴囊湿痒等。
天麻

也是个炖汤利器啦。天麻有镇静、阵痛、抗惊厥作用;能增加脑血流量,降低脑血管阻力,轻度收缩脑血管,增加冠状血管流量;能降低血压,减慢心率,对心肌缺血有保护作用。
茯苓

煮个粥、泡个酒,随便吃吃啦。有利尿、镇静的作用,能使心肌收缩力加强,心率增快,保护肝脏,还能抗肿瘤和抗癌。
何首乌

不光吃,直接就拿来洗头了。能解毒,消痈,润肠通便,用于治疗瘰疠疮痈、风疹瘙痒、肠燥便秘,还能促进造血、增强免疫、降血脂与抗动脉粥样硬化、保肝、延缓衰老等。
灯笼草

小时候总会采来吃吧?能清热解毒,利尿止血,消肿散结。
吴茱萸

有散热止痛、降逆止呕的功效,能用于治疗肝胃虚寒、阴浊上逆所致的头痛或胃腕疼痛等。
半夏

具有燥湿化痰、降逆止呕、生用消疖肿的作用。
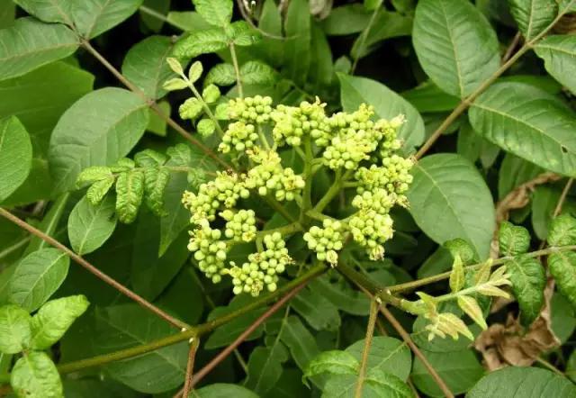
天门冬

有非常高的药用价值,是极品中草药!
黄柏

可以抗菌、镇咳、降压、抗溃疡,还能治疗脑脊髓膜炎、细菌性痢疾、肺炎、肺结核、肝硬化、慢性肝炎、滴虫性阴道炎、急性结膜炎、慢性化脓性中耳炎、颈椎病、耳部湿疹等。
曼陀罗

为镇静要药,可松弛肌肉,古代麻沸散和云南白药保险子主要成分。
鬼针草

嫩时可当菜吃,还算可口,对降低转氨酶效果很好,可疏散肝热。
苦菜

可健胃益胆,抗肿瘤,很适合现代人。
葵菜

有野生和家种两种,《本经》列为上品,是食之有益于健康的蔬菜,现在大部分地区不知道食用。上图中为野生种,可通利五脏,根用以通利肾窍,叶以红糖为引,治疗疮肿外敷有效。
荨麻

可治疗小儿风咳,风火牙痛等症。
龙葵

清热治肿瘤,有保肝、健胃、明目之功。
棕榈

可以止血,但妇科白带用之更为对症。
夏枯草

能和血,引阳入阴而治疗失眠。
车前草

清膀胱热,利肾气,预防积石,引肺热从小便出,治疗咳嗽。
铁蒿

铁蒿可清虚热,有食用保健价值。
蒲公英

清热解毒,消肿散结。
鸭跖草

能治疗小便不通、赤白痢、喉痹、痔疮肿痛等。
垂盆草

能清热解毒,消痈肿,利尿,解蛇毒。
苍耳子

散风湿,通鼻窍,用于风寒头痛、鼻渊流涕、风疹瘙痒、湿痹拘挛。
马耳

凉血,清热,利湿,解毒。
小蓟

凉血,祛瘀,止血,治吐血、衄血、尿血、血淋、便血、血崩、急性传染性肝炎、创伤出血、疔疮、痈毒。
天胡荽

清热,利尿,消肿,解毒,治黄疸、赤白痢疾、淋病、小便不利、目翳、喉肿、痈疽疔疮、跌打损伤。
卷耳

清小便热症。
漆姑草

治漆疮、秃疮、痈肿、瘰疬、龋齿、小儿乳积、跌打内伤。
通泉草
消炎,解毒,治痈疽疔肿、烫伤。
波斯婆婆纳
解热毒,治肾虚,疗风湿。
泽漆
利尿消肿,化痰散结,杀虫止痒,用于治疗腹水、水肿、肺结核、颈淋巴结核、痰多喘咳、癣疮。
狗尾巴草
除热,去湿,消肿,能治疗痈肿、疮癣、赤眼。
鸭舌草
具有清热解毒的功效,主治痢疾、肠炎、急性扁桃体炎、丹毒、疔疮等,也可用于急性支气管炎和百日咳。
兰花参
治虚损劳伤、咳血、衄血、自汗、盗汗、妇女白带、伤风咳嗽、胃痛、泻痢、刀伤。
柴胡

主治感冒发热、寒热往来、疟疾、肝郁气滞、胸肋胀痛、脱肛、子宫脱落、月经不调。
麦冬

养阴生津,润肺清心,用于肺燥干咳、阴虚痨嗽、喉痹咽痛、津伤口渴、内热消渴、心烦眠、肠燥便秘。
玉竹
养阴,润燥,除烦,止渴,治热病阴伤、咳嗽烦渴、虚劳发热、消谷易饥、小便频数。
桑白皮

泻肺平喘,利水消肿,用于肺热咳喘、面目浮肿、小便不利等症。
据统计,云南中药资源经调查有6559种,品种和数量均属全国之首,并有许多特有的品种!
主要动植物药材的产(藏)量近10亿公斤。品种和数量均属全国之首,并有许多特有的品种。
但是!
针对云南人而言,这根本不算什么

在云南人的菜单上
这些牛逼哄哄的中草药
就是些“小野菜”!
咱就不说折耳根了

清热解毒、消肿疗疮、利尿除湿、清热止痢、健胃消食,还具有抗菌、抗病毒、提高机体免疫力等作用。可以治疗热毒、湿邪、疾热为患的肺痈、疮疡肿毒、痔疮便血、脾胃积热等等等等……
黄泡

小时候都在山里摘来吃过吧,这可是开胃、柔肝缓急的宝贝,小孩子吃特别好。
乌泡

也是小时候摘来吃的吧,果实和黄泡功效相同,叶和嫩尖用红糖做引子煎服,治肝急水泻有奇!效!并且毫无副作用。
一串红

摘下来,从花屁股上一吸,甜得像初恋!然而这可是全身上下都能用来入药的好东西,可以清热、凉血、消肿。
黄花菜

煮汤的时候超级好吃有没有!而且它还含有丰富的花粉、糖、蛋白质、维生素C、钙、脂肪、胡萝卜素、氨基酸等人体所必须的养分,其所含的胡萝卜素甚至超过西红柿的几倍!有止血、消炎、清热、利湿、消食、明目、安神等功效,对治疗吐血、大便带血、小便不通、失眠、乳汁不下等都有效果,可作为病后或产后的调补品。
酢浆草

小时候都叫“酸咪咪”,哪里都有,一抓一把擦擦干净就往嘴里塞。然而它可以清热利湿,凉血,散瘀,消肿,解毒,治泄泻、痢疾、黄疸、淋病、赤白带下、麻疹、吐血、衄血、咽喉肿痛、疔疮、痈肿、疥癣、痔疾、脱肛、跌打损伤、汤火伤……十分厉害。
水芹菜

水边或者湿地边成片都是,炒来吃赞得不要不要的,能够治疗麻疹初起,高血压,失眠。
荠菜

荠菜饺子、荠菜炒肉、凉拌荠菜……都说饿了。人家可是能和脾,利水,止血,明目,治痢疾、水肿、淋病、乳糜尿、吐血、便血、血崩、月经过多、目赤疼痛的呢!
金银花

有没有吃过有没有吃过!金银花全身都能入药,是国务院确定的名贵中药材之一!具有清热解毒、抗菌消炎、保肝利胆的功能。
灰灰菜

漫山遍野的都是啦,能清肺腑淤积哟~
野薄荷

超级清爽有木有,人家能散风热,逐秽气,解鱼虾毒。
杜仲

诶,有事没事炖个排骨汤什么的,总会往里面加一点吧,有事没事泡个药酒什么的,总会往里面加一点吧,就是有事没事卤个鸡爪,也会往里面加一点吧。杜仲啊,可是有补益肝肾、强筋壮骨、调理冲任、固经安胎的功效,能治疗肾阳虚引起的腰腿痛或酸软无力,肝气虚引起的胞胎不固,阴囊湿痒等。
天麻

也是个炖汤利器啦。天麻有镇静、阵痛、抗惊厥作用;能增加脑血流量,降低脑血管阻力,轻度收缩脑血管,增加冠状血管流量;能降低血压,减慢心率,对心肌缺血有保护作用。
茯苓

煮个粥、泡个酒,随便吃吃啦。有利尿、镇静的作用,能使心肌收缩力加强,心率增快,保护肝脏,还能抗肿瘤和抗癌。
何首乌

不光吃,直接就拿来洗头了。能解毒,消痈,润肠通便,用于治疗瘰疠疮痈、风疹瘙痒、肠燥便秘,还能促进造血、增强免疫、降血脂与抗动脉粥样硬化、保肝、延缓衰老等。
灯笼草

小时候总会采来吃吧?能清热解毒,利尿止血,消肿散结。
吴茱萸

有散热止痛、降逆止呕的功效,能用于治疗肝胃虚寒、阴浊上逆所致的头痛或胃腕疼痛等。
半夏

具有燥湿化痰、降逆止呕、生用消疖肿的作用。
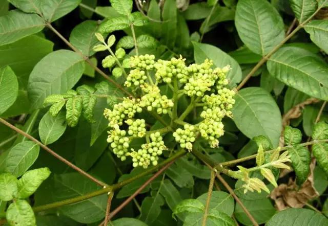
天门冬

有非常高的药用价值,是极品中草药!
黄柏

可以抗菌、镇咳、降压、抗溃疡,还能治疗脑脊髓膜炎、细菌性痢疾、肺炎、肺结核、肝硬化、慢性肝炎、滴虫性阴道炎、急性结膜炎、慢性化脓性中耳炎、颈椎病、耳部湿疹等。
曼陀罗

为镇静要药,可松弛肌肉,古代麻沸散和云南白药保险子主要成分。
鬼针草

嫩时可当菜吃,还算可口,对降低转氨酶效果很好,可疏散肝热。
苦菜

可健胃益胆,抗肿瘤,很适合现代人。
葵菜

有野生和家种两种,《本经》列为上品,是食之有益于健康的蔬菜,现在大部分地区不知道食用。上图中为野生种,可通利五脏,根用以通利肾窍,叶以红糖为引,治疗疮肿外敷有效。
荨麻

可治疗小儿风咳,风火牙痛等症。
龙葵

清热治肿瘤,有保肝、健胃、明目之功。
棕榈

可以止血,但妇科白带用之更为对症。
夏枯草

能和血,引阳入阴而治疗失眠。
车前草

清膀胱热,利肾气,预防积石,引肺热从小便出,治疗咳嗽。
铁蒿

铁蒿可清虚热,有食用保健价值。
蒲公英

清热解毒,消肿散结。
鸭跖草

能治疗小便不通、赤白痢、喉痹、痔疮肿痛等。
垂盆草

能清热解毒,消痈肿,利尿,解蛇毒。
苍耳子

散风湿,通鼻窍,用于风寒头痛、鼻渊流涕、风疹瘙痒、湿痹拘挛。
马耳

凉血,清热,利湿,解毒。
小蓟

凉血,祛瘀,止血,治吐血、衄血、尿血、血淋、便血、血崩、急性传染性肝炎、创伤出血、疔疮、痈毒。
天胡荽

清热,利尿,消肿,解毒,治黄疸、赤白痢疾、淋病、小便不利、目翳、喉肿、痈疽疔疮、跌打损伤。
卷耳

清小便热症。
漆姑草

治漆疮、秃疮、痈肿、瘰疬、龋齿、小儿乳积、跌打内伤。
通泉草
消炎,解毒,治痈疽疔肿、烫伤。
波斯婆婆纳
解热毒,治肾虚,疗风湿。
泽漆
利尿消肿,化痰散结,杀虫止痒,用于治疗腹水、水肿、肺结核、颈淋巴结核、痰多喘咳、癣疮。
狗尾巴草
除热,去湿,消肿,能治疗痈肿、疮癣、赤眼。
鸭舌草
具有清热解毒的功效,主治痢疾、肠炎、急性扁桃体炎、丹毒、疔疮等,也可用于急性支气管炎和百日咳。
兰花参
治虚损劳伤、咳血、衄血、自汗、盗汗、妇女白带、伤风咳嗽、胃痛、泻痢、刀伤。
柴胡

主治感冒发热、寒热往来、疟疾、肝郁气滞、胸肋胀痛、脱肛、子宫脱落、月经不调。
麦冬

养阴生津,润肺清心,用于肺燥干咳、阴虚痨嗽、喉痹咽痛、津伤口渴、内热消渴、心烦眠、肠燥便秘。
玉竹
养阴,润燥,除烦,止渴,治热病阴伤、咳嗽烦渴、虚劳发热、消谷易饥、小便频数。
桑白皮

泻肺平喘,利水消肿,用于肺热咳喘、面目浮肿、小便不利等症。
随便吃吃美食,就是有各种功效的中草药,随便走走山路,就不知道踩到多少宝贝。
外地人都看傻了:你们云南人,也太奢侈了!