致富锦囊大放送

玫瑰加小鸡 日子红又火
01
每年的6月中旬,甘肃兰州新区中川镇赖家坡村的上万亩玫瑰花就会陆续开放。农民郎伟斌在自家园子里养殖的土鸡因为食用玫瑰花叶子、花瓣“意外走红”,“玫瑰鸡”也成为了当地农家乐的招牌菜。
玫瑰种植在赖家坡村已有40多年的历史,玫瑰花也曾在缺衣少食的年代带给当地人温饱的慰藉。所以,即使在市场最不景气的几年里,农民还是舍不得砍掉自家地里的玫瑰。
来自家乡的“玫瑰香”一直牵引着郎伟斌,在南方打工做厨师的几年里,他时常寻思着将学到的手艺带回家乡开家农家乐。
兰州新区中川玫瑰文化旅游节举办期间,沉寂的村子也因游客的到来而变得热闹起来。“游玫乡花海、携亲子采摘、品农家美食、阅历史文化、忆乡愁民俗、眺空港新貌、赏七彩喷泉、观新区美景”成为当地官方主打的系列观光游览活动。

郎伟斌摸索养殖的“玫瑰鸡”也因其肉质鲜美受到游客的欢迎,曾有过500只鸡销售一空的“纪录”,郎伟斌的日子也越过越红火。
近年来,兰州新区为进一步推动产业结构转型升级、充分发挥玫瑰产业优势、加速特色化产业建设、依托玫瑰集中种植优势、挖掘各类资源效益、促进休闲农业和乡村旅游发展,已连续举办三届玫瑰文化旅游节。旨在进一步推动新区玫瑰产业发展,推介新区乡村旅游,充分展示新区独特民俗文化。
如今,玫瑰、牡丹、向日葵这“三朵花”已成新区靓丽新名片。衍生发展出的玫瑰油、牡丹油、向日葵油 “三桶油” 正在成长为新区特色产业。兰州新区玫瑰产业现已初具规模,玫瑰种植面积达6万亩,占全国玫瑰总种植面积40%,集中种植面积位居全国之首。

紫云英“中看”更“中用”
02
2月,在河南省信阳市罗山县子路镇问津合作社,昔日冬闲时节都在“休息”的土地,现在却种满了紫云英。合作社负责人陈贵权兴奋地描述着。然而,紫云英不只“中看”,更“中用”。
“5月份种水稻前,把这些紫云英全部翻压到地里,就成了最好的‘绿肥’,我们种了近3000亩。”陈贵权介绍说。这正是河南省农科院“现代农业科技精品示范工程”,大力推广绿肥作物种植取得的丰硕成果。
通过在冬闲稻区大量种植紫云英,充分利用有限的土地资源,提供大量有机物料投入,快速改善土壤环境,节本增收,让清洁水稻成为主流。
“用紫云英做底肥,化肥能少用40%,每亩还能多收100斤左右,稻米口感更好,价钱更高。”陈贵权觉得这笔“买卖”很划算,在翻压前每亩还能收近百斤的种子,带来近千元的收入。

紫云英绿肥生产并不是一个新鲜事物,在我国稻米产区有着悠久的历史。后来受耕地的分散化、碎片化,以及农村劳动力向城市转移等因素影响,紫云英一度被“冷落”,种植面积大幅缩水。近些年,随着化肥过量使用的负面效应日益明显,土壤板结、面源污染严重,紫云英绿肥因为能有效缓解这些问题,重头“受宠”。

楸树用“种”*法大**
03
楸树是中国珍贵的用材树种之一,其材质好、用途广、经济价值高,并且属于国家优选的唯一环保型树种,是仅次于红木、紫檀等名贵木材的上等优质家具原料,国内市场紧俏,每立方米价格在1万元左右。
作用:
经济——楸树木材具有许多构造上的优良特性:树干直、节少、材性好;木材纹理通直、花纹美观;质地坚韧致密、坚固耐用、绝缘性能好、耐水湿、耐腐、不易虫蛀;加工容易、切面光滑、钉着力中等、油漆和胶粘力佳。主要用于枪托、模型、船舶,还是人造板很好的贴面板和装饰材,此外还用于车厢、乐器、工艺、文化体育用品等。
园林——楸树不仅在叶、花、枝、果、树皮、冠形方面独具风姿,具有较高的观赏价值,而且还有利于隔音、减声、防噪、滞尘,具有良好的绿化效果。楸树对二氧化硫、氯气等有毒气体有较强的抗性、能净化空气,是绿化城市改善环境的优良树种。
食用——楸叶含有丰富的营养成分,嫩叶可食,花可炒菜或提炼芳香油。明代鲍山《野菜博录》中记载:“食法,*花采**炸熟,油盐调食。或晒干,炸食,炒食皆可。”

河南省鹿邑县高集乡利用路沟闲地打造了“楸树之乡”的美丽画面。去年以来,这里充分利用有利资源,大力栽植楸树,现在已经累计栽植楸树12万棵。
种植方式:
因地制宜——把闲置土地利用起来栽植楸树,既固土护坡又不占用耕地。
创新模式:
企业无偿提供树苗,统一质量标准。路边河旁栽的树,对应谁家的承包田,所有权归谁,成材后与企业合同规定利益分成。同时,农户负有楸树成材前相应的管护责任,自家田边地头的楸树,就是自家的资产,农户都不需指派,自觉管护的积极性普遍很高。另外,每个行政村还配备2-3名专职护林员,由企业出资聘用,通过集中培训、巡检,再分散各自为战。
成果丰硕:
周密有致的规划,得当可行的措施,明晰的责、权、利,充分调动了广大干群栽植楸树的热情。如今,打造楸树之乡,建设魅力家园的宏伟蓝图,已经变为让该乡干群看得见、摸得着的真正实惠。

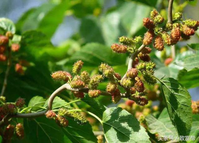
桑树跨界 致富新选
04
去年,湖南省茧丝绸行业协会在长沙成立。如今,湖南省正在大力推动桑树从养蚕向养畜、食用“跨界”,力争把这个小品种做成助农增收致富的大产业。
据初步统计,湖南省目前桑园面积只有15万亩左右。2017年中央1号文件提出,要“把地方土特产和小品种做成带动农民增收的大产业”,而且首次提及要发展蚕桑产业,这让湖南省蚕桑研究所所长李一平非常高兴:“我们多年的研究成果,必将在更大范围内推广应用,推动桑树‘跨界’。”
其实,桑叶的蛋白质含量跟苜蓿草差不多。把桑树叶和嫩茎做成饲料,能大大减少抗生素的使用,使牲畜肉的品质更高。在湖南省蚕桑研究所的技术支持下,已经有养殖户培育出“桑养宁乡花猪”,反响良好。
桑葚味道鲜美,营养价值高,市场售价甚至能盖过“大出风头”的草莓。桑葚一般在“五一”前后上市,这时候草莓生产已接近尾声,杨梅大多还青涩未熟,既能填补市场“空档期”,又便于体验采摘,前景广阔。

传统的蚕桑产业,靠卖蚕茧,每亩只有4000元左右的产值。如果栽种用于养畜的桑树,直接卖叶和茎,就能获得大约3000元每亩的收益。果桑的亩产值,更是轻松过万元。
据专家估计,依靠多年的研究成果,桑树“跨界”必将在更大范围内推广。只要有政府的支持,有科技的支撑,有需求端的引导,湖南省桑园面积可能在未来5年之内实现翻番。
当然,如何让桑叶营养价值更高、让牲畜更爱吃;如何让桑葚品质更好、产量更大;都需要持续攻关,大家也可以持续关注这方面的消息。农业供给侧结构性改革,要优化存量,也要培育增量。增量,往往意味着创新和突破,更容易获得“人无我有、人有我优、人优我特”的竞争优势。

实习编辑:王雪儿
编辑:孟然
统稿编辑:张程
责任编辑:张磊
找到我们: 微博、微信名都叫《致富帮》
《致富青年帮》广播节目收听: 中波收听:AM720(华北、华东部分地区)
网上收听:央广网(www.cnr.cn或country.cnr.cn)
致富帮,助您
打开财富之门,点亮人生梦想!