流胶是蔷薇科、芸香科果树上普遍发生的病害,特别是在柑橘、桃、杏、李、樱桃、苹果上危害较重,对树势影响极大,果树的产量和质量也跟着受挫,病情严重时甚至能造成整个果园毁灭。
早期,流胶常被误会成伤流液或被认为是单纯的生理性病害,但随着研究深入,人们发现流胶的成因比较复杂,生物因素同样能导致流胶的发生,本次我们就来详细聊一聊这个话题。
各种果树,各种流胶

李树流胶
果树生理性流胶通常是出现在主干或主枝上的,初期呈近透明粘稠状,流胶处树体组织带有明显破损。

樱桃流胶
树胶在与空气接触一段时间后,随即被氧化,会变成茶褐色硬质琥珀状胶块。

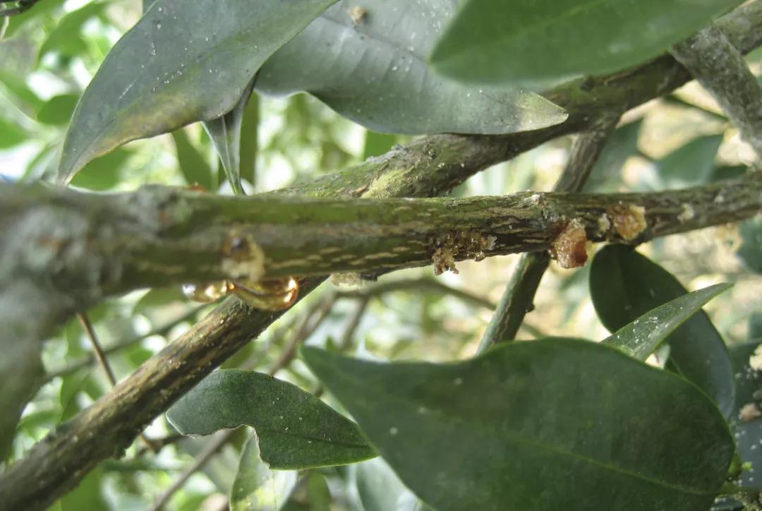
柑橘流胶
树体发生流胶后,易被腐生菌侵染,病部加速溃烂,树势每况愈下。

桃树流胶
还有一类是上年先在枝干上生瘤状凸起,次年再开裂流胶,且存在发生高峰,且流胶处有黑点状病斑,属于侵染性流胶的范畴。
果树流胶的秘密

生理性流胶的发生多始于树体受损或有伤口产生。当然,这里所说的树体受损特指分子层面的,例如果树遭受过冻害、灼晒等不良环境胁迫,细胞器膜结构发生了不可逆的损坏;果树修剪、台风、冰雹、蛀干害虫等形成的机械损伤同样会诱发流胶。
侵染性流胶的致病菌以真菌为主如葡萄座腔菌、疫霉属真菌、茎生拟茎点霉菌、尖孢镰刀菌等。部分细菌亦可诱发流胶,如丁香假单胞菌、细菌性溃疡病菌等。
主要区别:生理性流胶偶发性较强,侵染性流胶存在一定规律性,如上年受侵染后,下年在5~6月、8~9月间存在两个发病高峰;侵染性流胶不依赖伤口,可从皮孔处侵入,但伤口的存在会使得病菌侵入更方便。
相似之处:病症上极其相似,后期均是流胶加溃烂;致病机理上大同小异,均是因乙烯水平大幅上升导致树胶多糖过度合成;发生条件上,树势衰弱均会加重其发生。
如何减少果树流胶?
重点把握三个方面,即提升树势水平、减少树体损伤、降低致病菌的留存。
提升树势水平:果树流胶病的发生往往和树势强弱有关,加强管理水平,有利于增强树势,从而减轻流胶病的发生。具体包括增施有机肥、平衡施肥、合理负载、科学修剪、根系生长高峰期淋施海精灵生物刺激剂等。
减少树体损伤:可在很大程度上减轻生理性流胶的发生,阻挡致病菌的侵染。如积极应对异常气候条件、勤防病虫、生长季轻剪、树干涂白等,针对伤口关注保护。
降低致病菌留存:加强冬春清园,除去树体清洁外,还应做好土壤处理,通过增施活土君 复合菌剂,能改善土壤菌群结构,兼有改土效果;生长期及时防控病害,因流胶的致病菌多属于真菌,可用赢极(75%肟 菌·戊唑醇干悬浮剂),保护治疗双效。
针对已发生流胶的果树,应刮除病部至健康部,而后用多菌灵、戊唑醇等涂抹保护,建议避开雨期,配合垦多乐芸苔素内酯、2,4-D等植物生长调节剂等治愈效果较好。
本文由农业助手团队编写整理,转载请务必注明来源农业助手,勿修改文章内容,修改必究!