
点击上方“衡水发布” 可以订阅哦!近日,衡水市区多所小学发布招生公告,有哪些招生条件,怎么划片,需要做哪些准备,下面跟着小编一起来看看!
2019年衡水市人民路小学招生公告
根据桃城区教育局2019年义务教育阶段学校招生工作实施意见,凡在2019年8月31日前(含31日,下同)年满六周岁的本市中心城区常住户籍人口和外来进城务工及经商随迁子女,需在我区公办学校接受义务教育的适龄儿童,以学生实际住址为准,以就近入学为原则,属于人民路小学校区内的,务必在8月15—16日两天到我校进行适龄人口居住情况摸底登记。
(注:1、报名期间男女生均可到校报名,校内登记处将按男、女生分类进行报名,请家长朋友关注排队。2、特别提示:家长必须带孩子来报名参加面试环节,否则不予登记。)
温馨提示
1、进行摸底登记时,需提供相关材料原件及复印件(用两个纸质档案袋分别装好),证件装订顺序为:
(1)孩子户口页、
(2)户口本首页、
(3)监护人页、
(4)实际住址证明、
(5)医学出生证明、
(6)接种证、
(7)其他证明材料。
2、档案袋封面注明:孩子姓名、家长联系电话、实际住址代码、 及袋内证件名称 。
3 、凡在规定时间内进行了适龄人口居住情况摸底登记的适龄儿童少年,方可入学。
4、 报名地点:衡水市人民路小学
报名时间:上午8:00-11:00 下午3:00-5:30
适龄人口居住情况摸底登记
一、报名摸底登记时,需提供以下相关材料原件及复印件:
1、常住户籍人口适龄儿童
本人家庭户口本、父母(法定监护人)或本人房产证(全部产权,仅限居民住宅,不含营业房和商用房)、医学出生证明。父母(法定监护人)或本人无房产证的需区分以下情况,分别提供相关材料:
(1)房产证在银行抵押的:由抵押单位经办人和负责人分别签字的房产证复印件、经办人联系电话、抵押单位盖章、抵押*款贷**协议书或可证明房产证已在银行抵押的其他证件;
(2)已入住但房产证未办理的:房地产开发公司的购房合同或回迁合同(协议,民间契约或协议不作依据)、住建部门的购房发票。
(3)自有宅基建房的:宅基证。
(4)单位集资房的:单位产权证明、购房票据。
(5)享受政府经济适用房和公租房的:住建部门提供的有关审批手续证明材料。
(6)父母与祖(外祖)父母长期同户同住的:父母无房产证明、祖(外祖)父母房产证。
(7)租住房的:住建部门出具的无房产证明、住建部门的房屋租赁备案证(一年以上)。
(8)住单位宿舍的:住建部门出具的无房产证明、工作单位和社区及辖区派出所联合出具的居住证明。
2、外来进城务工及经商人员随迁子女入学
外来进城务工人员需提供父母双方的合法劳动合同和本地社会养老保险(两年以上,截止日期:2019年6月底。下同);经商人员需提供两年以上营业执照。并且同时提供以下材料:户口本、居住证、本地房产证、医学出生证明。父母(法定监护人)或本人无房产证的,依照以上八条情况,提供相关材料。
二、招生录取
学校依据《桃城区2019年适龄人口居住情况调查登记表》按新校区,对本校区的学生于8月25上午八点进行分批次录取并发放录取通知书:第一批:本区有房产且符合区直小学入学条件的适龄人口(同等条件户籍优先)。第二批:本人无房产的租房户,按住建局办理的房屋租赁备案证登记日期先后顺序录取,若学区内学额已满,则相对就近调剂录取(同等条件户籍优先)。
2019年衡水市珍宝街小学招生公告
根据《桃城区教育局2019年义务教育阶段学校招生工作实施意见》,结合高新区实际,凡在2019年8月31日前(含31日,下同)年满六周岁的本市中心城区常住户籍人口和外来进城务工及经商随迁子女,需在高新区公办学校接受义务教育的适龄儿童,属于珍宝街小学摸底范围内的务必在8月15日(女生),8月16日(男生)到珍宝街小学进行适龄儿童居住情况摸底登记。摸底登记时需提供以下相关材料原件及复印件。
一、适龄儿童居住情况摸底登记
1、常住户籍人口适龄儿童。
需提供本人家庭户口本、父母(法定监护人)或本人房产证(全部产权,仅限居民住宅,不含营业房和商用房)、医学出生证明。父母(法定监护人)或本人无房产证的需区分以下情况,分别提供相关材料:
(1)房产证在银行抵押的:由抵押单位经办人和负责人分别签字的房产证复印件、经办人联系电话、抵押单位盖章、抵押*款贷**协议书或可证明房产证已在银行抵押的其他证件;
(2)已入住但房产证未办理的:房地产开发公司的购房合同或回迁合同(民间契约或协议不作依据)、住建部门的正式购房发票。
(3)自有宅基建房的:宅基证。
(4)单位集资房的:单位产权证明、购房票据。
(5)享受政府经济适用房和公租房的:住建部门提供的有关审批手续证明材料。(限市区内户口)
(6)父母与祖(外祖)父母长期同户同住的:父母无房产证明、祖(外祖)父母房产证。
(7)租住房的:住建部门出具的无房产证明、住建部门的房屋租赁备案证(一年以上)。
(8)住单位宿舍的:住建部门出具的无房产证明、工作单位和社区及辖区派出所联合出具的居住证明。
2、外来进城务工及经商人员随迁子女入学。
外来进城务工人员需提供父母双方的合法劳动合同和本地社会养老保险(两年以上,截止日期:2019年6月底。下同);经商人员需提供两年以上营业执照。并且同时提供以下材料:户口本、居住证、本地房产证、医学出生证明。父母(法定监护人)或本人无房产证的,依照以上八条情况,提供相关材料。
二、招生录取
学校依据《桃城区2019年适龄人口居住情况调查登记表》按新校区,对本校区的学生于8月28日(上午8:00—11:00;下午3:00—6:00)进行录取并发放录取通知书。若本校区域内学额已满,则高新区辖区内学校调剂录取。
温馨提示:
1、进行摸底登记时,需提供相关材料原件及复印件(用两个档案袋分别装好),证件装订顺序为:
(1)孩子户口页、户口本首页、父母户口页。
(2)出生医学证明。
(3)房产证或相关房产证明。
(4)外来进城务工及经商人员随迁子女入学相关材料。
2、档案袋封面注明:孩子姓名、家长联系电话、实际住址代码及袋内证件名称 。
3、报名地点:衡水市珍宝街小学
报名时间:上午8:00-11:00;下午3:00-6:00
请各位家长及时关注我校公众号,方便您及时获知最新信息。
附摸底区域:
珍宝街小学:
人民路以北、宝云街以西、维明街以东、和平路以南;
人民路以南、宝云街以西、西外环以东、南外环以北。

2019年衡水市新华小学招生公告

根据《桃城区教育局2019年义务教育阶段学校招生工作实施意见》,结合高新区实际,凡户籍以及居住地属新华小学校区范围,2019年8月31日前(含31日,下同)年满六周岁的本市中心城区常住户籍人口和外来进城务工及经商随迁子女,需在高新区公办学校接受义务教育的适龄儿童,务必在8月15日(女生),8月16日(男生)到新华小学进行适龄人口居住情况摸底登记。摸底登记时需提供以下相关材料原件及复印件。
一、适龄儿童居住情况摸底登记
1、常住户籍人口适龄儿童
需提供本人家庭户口本、父母(法定监护人)或本人房产证(全部产权,仅限居民住宅,不含营业房和商用房)、医学出生证明。父母(法定监护人)或本人无房产证的需区分以下情况,分别提供相关材料:
(1)房产证在银行抵押的:由抵押单位经办人和负责人分别签字的房产证复印件、经办人联系电话、抵押单位盖章、抵押*款贷**协议书或可证明房产证已在银行抵押的其他证件;
(2)已入住但房产证未办理的:房地产开发公司的购房合同或回迁合同(协议,民间契约或协议不作依据)、住建部门的购房发票。
(3)自有宅基建房的:宅基证。
(4)单位集资房的:单位产权证明、购房票据。
(5)享受政府经济适用房和公租房的:住建部门提供的有关审批手续证明材料。
(6)父母与祖(外祖)父母长期同户同住的:父母无房产证明、祖(外祖)父母房产证。
(7)租住房的:住建部门出具的无房产证明、住建部门的房屋租赁备案证(一年以上)。
(8)住单位宿舍的:住建部门出具的无房产证明、工作单位和社区及辖区派出所联合出具的居住证明。
2、外来进城务工及经商人员随迁子女入学
外来进城务工人员需提供父母双方的合法劳动合同和本地社会养老保险(两年以上,截止日期:2019年6月底。下同);经商人员需提供两年以上营业执照。并且同时提供以下材料:户口本、居住证、本地房产证、医学出生证明。父母(法定监护人)或本人无房产证的,依照以上八条情况,提供相关材料。
二、招生录取
学校依据《桃城区2019年适龄人口居住情况调查登记表》按新校区,对本校区的学生于8月28日(上午8:00-11:00 下午3:00-6:00)进行录取并发放录取通知书。若本校区域内学额已满,则高新区辖区内学校调剂录取。
三、温馨提示
1、 进行摸底登记时,需提供相关材料原件及复印件(用两个档案袋分别装好),证件装订顺序为:(1)孩子户口页、户口本首页、父母户口页。(2)医学出生证明。(3)房产证或相关房产证明、(4)外来进城务工及经商人员随迁子女入学相关材料。
2、档案袋封面注明:孩子姓名、家长联系电话、实际住址代码及袋内证件名称 。
3、报名地点:衡水市新华小学。
报名时间:上午8:00-11:00 下午3:00-6:00
附衡水市新华小学区域图及代码图:
宝云街以西,西外环以东,和平路以北,铁路以南
维明街以西,西外环以东,人民路以北,和平路以南

2019年衡水市前进小学招生公告
根据《桃城区教育局2019年义务教育阶段学校招生工作实施意见》,结合高新区实际,凡户籍以及居住地属前进小学校区范围,2019年8月31日前(含31日,下同)年满六周岁的本市中心城区常住户籍人口和外来进城务工及经商随迁子女,需在高新区公办学校接受义务教育的适龄儿童,务必在8月15日(女生),8月16日(男生)到前进小学进行适龄人口居住情况摸底登记。摸底登记时需提供以下相关材料原件及复印件。
一、适龄儿童居住情况摸底登记
1、常住户籍人口适龄儿童
需提供本人家庭户口本、父母(法定监护人)或本人房产证(全部产权,仅限居民住宅,不含营业房和商用房)、医学出生证明。父母(法定监护人)或本人无房产证的需区分以下情况,分别提供相关材料:
(1)房产证在银行抵押的:由抵押单位经办人和负责人分别签字的房产证复印件、经办人联系电话、抵押单位盖章、抵押*款贷**协议书或可证明房产证已在银行抵押的其他证件;
(2)已入住但房产证未办理的:房地产开发公司的购房合同或回迁合同(民间契约或协议不作依据)、住建部门的购房发票。
(3)自有宅基建房的:宅基证。
(4)单位集资房的:单位产权证明、购房票据。
(5)享受政府经济适用房和公租房的:住建部门提供的有关审批手续证明材料。(限市区户口)
(6)父母与祖(外祖)父母长期同户同住的:父母无房产证明、祖(外祖)父母房产证。
(7)租住房的:住建部门出具的无房产证明、住建部门的房屋租赁备案证(一年以上)。
(8)住单位宿舍的:住建部门出具的无房产证明、工作单位和社区及辖区派出所联合出具的居住证明。
2、外来进城务工及经商人员随迁子女入学
外来进城务工人员需提供父母双方的合法劳动合同和本地社会养老保险(两年以上,截止日期:2019年6月底。下同);经商人员需提供两年以上营业执照。并且同时提供以下材料:户口本、居住证、本地房产证、医学出生证明。父母(法定监护人)或本人无房产证的,依照以上八条情况,提供相关材料。
二、招生录取
学校依据《桃城区2019年适龄人口居住情况调查登记表》按新校区,对本校区的学生于8月28日(上午8:00-11:00 下午3:00-6:00)进行录取并发放录取通知书。依据学校摸底情况及上级政策,若本校区内学额已满,上级部门将对个别小区、个别楼号在高新区辖区内学校适时进行校区调整。
三、温馨提示
1、 进行摸底登记时,需提供相关材料原件及复印件(用两个档案袋分别装好),证件装订顺序为:(1)孩子户口页、户口本首页、父母户口页。(2)医学出生证明。(3)房产证或相关房产证明、(4)外来进城务工及经商人员随迁子女入学相关材料。
2、档案袋封面注明:孩子姓名、家长联系电话、实际住址代码及袋内证件名称 。
3、报名地点:衡水市前进小学。
报名时间:上午8:00-11:00 下午3:00-6:00
附摸底区域:
前进小学:前进街以西,人民路以南、宝云街以东、宁安路以北。

衡水市东明小学2019招生公告
根据《桃城区教育局2019年义务教育阶段学校招生工作实施意见》,凡在2019年8月31日前(含31日,下同)年满六周岁的本市中心城区常住户籍人口和外来进城务工及经商随迁子女,需在桃城区公办学校接受义务教育的适龄儿童,务必在8月15-16日就近到施教区小学进行适龄人口居住情况摸底登记(男女不限,带该入学儿童面试)。进行摸底登记时,需提供以下相关材料原件及复印件
一、区直小学适龄人口居住情况摸底登记
1、常住户籍人口适龄儿童
本人家庭户口本、父母(法定监护人)或本人房产证(全部产权,仅限居民住宅,不含营业房和商用房)、医学出生证明、免疫接种证。父母(法定监护人)或本人无房产证的需区分以下情况,分别提供相关材料:
(1)房产证在银行抵押的:由抵押单位经办人和负责人分别签字的房产证复印件、经办人联系电话、抵押单位盖章、抵押*款贷**协议书或可证明房产证已在银行抵押的其他证件;
(2)已入住但房产证未办理的:房地产开发公司的购房合同或回迁合同(协议,民间契约或协议不作依据)、住建部门的购房发票。
(3)自有宅基建房的:宅基证。
(4)单位集资房的:单位产权证明、购房票据。
(5)享受政府经济适用房和公租房的:住建部门提供的有关审批手续证明材料。
(6)父母与祖(外祖)父母长期同户同住的:父母无房产证明、祖(外祖)父母房产证。
(7)租住房的:住建部门出具的无房产证明、住建部门的房屋租赁备案证(一年以上)。
(8)住单位宿舍的:住建部门出具的无房产证明、工作单位和社区及辖区派出所联合出具的居住证明。
2、外来进城务工及经商人员随迁子女入学
外来进城务工人员需提供父母双方的合法劳动合同和本地社会养老保险(两年以上,截止日期:2019年6月底。下同);经商人员需提供两年以上营业执照。并且同时提供以下材料:户口本、居住证、本地房产证、医学出生证明。父母(法定监护人)或本人无房产证的,依照以上八条情况,提供相关材料。
二、招生录取
本校依据《桃城区2019年适龄人口居住情况调查登记表》按新校区,对本校区的学生于8月28日(上午8:00-11:00 下午3:00-5:30) 进行录取并发放录取通知书。
三、温馨提示
1、 进行摸底登记时,需提供相关材料原件及复印件(用两个档案袋分别装好),证件装订顺序为:1孩子户口页、2户口本首页、3监护人页、4实际住址证明、5医学出生证明、6接种证、7其他证明材料。
2、档案袋封面注明:孩子姓名、家长联系电话、实际住址代码、 及袋内证件名称 。
3 、凡在规定时间内进行了适龄人口居住情况摸底登记的适龄儿童少年,方可入学。
4、 报名地点:衡水市东明小学。
报名时间:上午8:00-11:00 下午3:00-6:00
四、2019年适龄人口居住情况摸底登记衡水市东明小学区域图

2019年衡水市新苑小学招生公告
根据桃城区教育局2019年义务教育阶段学校招生工作实施意见,凡在2019年8月31日前(含31日,下同)年满六周岁的本市中心城区常住户籍人口和外来进城务工及经商随迁子女,需在我区公办学校接受义务教育的适龄儿童,以学生实际住址为准,以就近入学为原则,属于新苑小学校区内的,务必在8月15、16日到我校进行适龄人口居住情况摸底登记。(注:1、报名期间男女生均可到校报名,校内登记处将按男、女生分类进行报名,请家长朋友关注排队。2、特别提示:家长必须带孩子来报名参加面试环节,否则不予登记)
一、适龄人口居住情况摸底登记
报名摸底登记时,需提供以下相关材料原件及复印件:
1、常住户籍人口适龄儿童
本人家庭户口本、父母(法定监护人)或本人房产证(全部产权,仅限居民住宅,不含营业房和商用房)、医学出生证明。父母(法定监护人)或本人无房产证的需区分以下情况,分别提供相关材料:
(1)房产证在银行抵押的:由抵押单位经办人和负责人分别签字的房产证复印件、经办人联系电话、抵押单位盖章、抵押*款贷**协议书或可证明房产证已在银行抵押的其他证件;
(2)已入住但房产证未办理的:房地产开发公司的购房合同或回迁合同(协议,民间契约或协议不作依据)、住建部门的购房发票。
(3)自有宅基建房的:宅基证。
(4)单位集资房的:单位产权证明、购房票据。
(5)享受政府经济适用房和公租房的:住建部门提供的有关审批手续证明材料。
(6)父母与祖(外祖)父母长期同户同住的:父母无房产证明、祖(外祖)父母房产证。
(7)租住房的:住建部门出具的无房产证明、住建部门的房屋租赁备案证(一年以上)。
(8)住单位宿舍的:住建部门出具的无房产证明、工作单位和社区及辖区派出所联合出具的居住证明。
2、外来进城务工及经商人员随迁子女入学
外来进城务工人员需提供父母双方的合法劳动合同和本地社会养老保险(两年以上,截止日期:2019年6月底。下同);经商人员需提供两年以上营业执照。并且同时提供以下材料:户口本、居住证、本地房产证、医学出生证明。父母(法定监护人)或本人无房产证的,依照以上八条情况,提供相关材料。
二、招生录取
学校依据《桃城区2019年适龄人口居住情况调查登记表》按新校区,对本校区的学生于8月25-26日进行分批次录取并发放录取通知书:
第一批:本区有房产且符合区直小学入学条件的适龄人口(同等条件户籍优先)。
第二批:本人无房产的租房户,按住建局办理的房屋租赁备案证登记日期先后顺序录取,若学区内学额已满,则相对就近调剂录取(同等条件户籍优先)。
附件:学区分布图
http://139.129.107.182:8088/BaiDuMap/PMatchLocationNew.aspx
(注:请将上面的网址复制到手机或计算机浏览器中打开)

报名流程:
1、学校门口按男、女生性别排成2队。
2、听从学校安排按次序进校登记。
3、出示证件原件、复印件进行查验。
4、将信息录入微机登记。
5、进行面试。
6、关注学校公众号,8月25-26日到学校领取录取通知书。
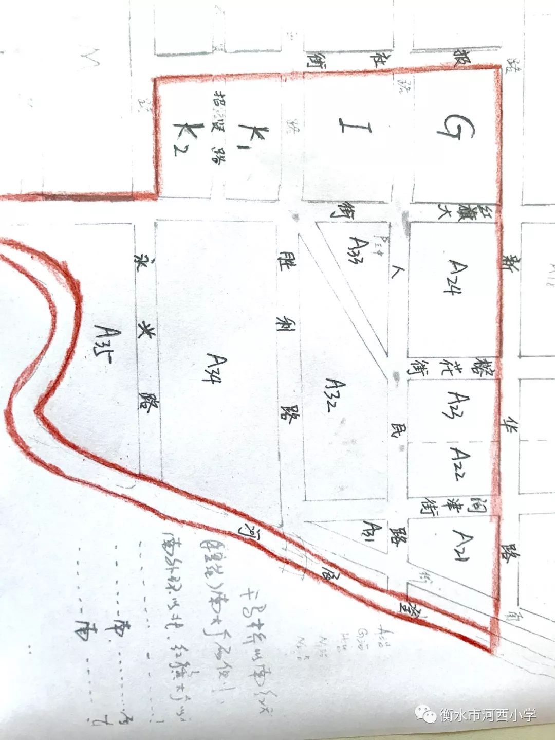
衡水市河西小学2019招生公告
根据《桃城区教育局2019年义务教育阶段学校招生工作实施意见》,凡在2019年8月31日前(含31日,下同)年满六周岁的本市中心城区常住户籍人口和外来进城务工及经商随迁子女,需在桃城区公办学校接受义务教育的适龄儿童,务必在8月15-16日就近到施教区小学进行适龄人口居住情况摸底登记(男女不限,带该入学儿童面试)。进行摸底登记时,需提供以下相关材料原件及复印件
一、区直小学适龄人口居住情况摸底登记
1、常住户籍人口适龄儿童
本人家庭户口本、父母(法定监护人)或本人房产证(全部产权,仅限居民住宅,不含营业房和商用房)、医学出生证明、免疫接种证。父母(法定监护人)或本人无房产证的需区分以下情况,分别提供相关材料:
(1)房产证在银行抵押的:由抵押单位经办人和负责人分别签字的房产证复印件、经办人联系电话、抵押单位盖章、抵押*款贷**协议书或可证明房产证已在银行抵押的其他证件;
(2)已入住但房产证未办理的:房地产开发公司的购房合同或回迁合同(协议,民间契约或协议不作依据)、住建部门的购房发票。
(3)自有宅基建房的:宅基证。
(4)单位集资房的:单位产权证明、购房票据。
(5)享受政府经济适用房和公租房的:住建部门提供的有关审批手续证明材料。
(6)父母与祖(外祖)父母长期同户同住的:父母无房产证明、祖(外祖)父母房产证。
(7)租住房的:住建部门出具的无房产证明、住建部门的房屋租赁备案证(一年以上)。
(8)住单位宿舍的:住建部门出具的无房产证明、工作单位和社区及辖区派出所联合出具的居住证明。
2、外来进城务工及经商人员随迁子女入学
外来进城务工人员需提供父母双方的合法劳动合同和本地社会养老保险(两年以上,截止日期:2019年6月底。下同);经商人员需提供两年以上营业执照。并且同时提供以下材料:户口本、居住证、本地房产证、医学出生证明。父母(法定监护人)或本人无房产证的,依照以上八条情况,提供相关材料。
二 招生录取
本校依据《桃城区2019年适龄人口居住情况调查登记表》按新校区,对本校区的学生于8月28日(上午8:00-11:00 下午3:00-5:30) 进行录取并发放录取通知书。
三 温馨提示
1、 进行摸底登记时,需提供相关材料原件及复印件(用两个档案袋分别装好),证件装订顺序为:1孩子户口页、2户口本首页、3监护人页、4实际住址证明、5医学出生证明、6接种证、7其他证明材料。
2、档案袋封面注明:孩子姓名、家长联系电话、实际住址代码、 及袋内证件名称 。
3 、凡在规定时间内进行了适龄人口居住情况摸底登记的适龄儿童少年,方可入学。
4、 报名地点:衡水市河西小学原址。
报名时间:上午8:00-11:00 下午3:00-6:00
四、2019年适龄人口居住情况摸底登记衡水市河西小学区域图及代码图

校区划分区域:
西至报社街、东至滏阳河、北至新华路、南至滏阳河。
衡水市滏阳小学2019招生公告
根据《桃城区教育局2019年义务教育阶段学校招生工作实施意见》,凡户籍以及居住地属滏阳小学校区范围,2019年8月31日前(含31日,下同)年满六周岁的本市中心城区常住户籍人口和外来进城务工及经商随迁子女,需在桃城区公办学校接受义务教育的适龄儿童,务必在8月15-16日到滏阳小学进行适龄人口居住情况摸底登记(男女不限)。进行摸底登记时,需提供以下相关材料原件及复印件。
区直小学适龄人口居住情况摸底登记01常住户籍人口适龄儿童
本人家庭户口本、父母(法定监护人)或本人房产证(全部产权,仅限居民住宅,不含营业房和商用房)、医学出生证明、免疫接种证。父母(法定监护人)或本人无房产证的需区分以下情况,分别提供相关材料:
(1)房产证在银行抵押的:由抵押单位经办人和负责人分别签字的房产证复印件、经办人联系电话、抵押单位盖章、抵押*款贷**协议书或可证明房产证已在银行抵押的其他证件;
(2)已入住但房产证未办理的:房地产开发公司的购房合同或回迁合同(协议,民间契约或协议不作依据)、住建部门的购房发票。
(3)自有宅基建房的:宅基证。
(4)单位集资房的:单位产权证明、购房票据。
(5)享受政府经济适用房和公租房的:住建部门提供的有关审批手续证明材料。
(6)父母与祖(外祖)父母长期同户同住的:父母无房产证明、祖(外祖)父母房产证。
(7)租住房的:住建部门出具的无房产证明、住建部门的房屋租赁备案证(一年以上)。
(8)住单位宿舍的:住建部门出具的无房产证明、工作单位和社区及辖区派出所联合出具的居住证明。
02外来进城务工及经商人员随迁子女入学
外来进城务工人员需提供父母双方的合法劳动合同和本地社会养老保险(两年以上,截止日期:2019年6月底。下同);经商人员需提供两年以上营业执照。并且同时提供以下材料:户口本、居住证、本地房产证、医学出生证明。父母(法定监护人)或本人无房产证的,依照以上八条情况,提供相关材料。
二、招生录取
本校依据《桃城区2019年适龄人口居住情况调查登记表》按校区,对本校区的学生于8月28日(上午8:00-11:00 下午3:00-5:30) 进行录取。
三、温馨提示
1、 进行摸底登记时,需提供相关材料原件及复印件(用两个档案袋分别装好),证件装订顺序为:1孩子户口页、2户口本首页、3监护人页、4实际住址证明、5医学出生证明、6接种证、7其他证明材料。
2、档案袋封面注明:孩子姓名、家长联系电话、实际住址代码、 及袋内证件名称 。
3 、凡在规定时间内进行了适龄人口居住情况摸底登记的适龄儿童少年,方可入学。
4、 报名地点:衡水市滏阳小学。
报名时间:上午8:00-11:00 下午3:00-5:30
四、2019年适龄人口居住情况摸底登记衡水市滏阳小学区域图及代码图

2019年衡水市康复街小学招生公告
根据桃城区教育局2019年义务教育阶段学校招生工作实施意见,凡在2019年8月31日前(含31日,下同)年满六周岁的本市中心城区常住户籍人口和外来进城务工及经商随迁子女,需在我区公办学校接受义务教育的适龄儿童,以学生实际住址为准,以就近入学为原则,属于康复街小学校区内的,务必在8月15—16日两天到康复街小学进行适龄人口居住情况摸底登记
(注:1、报名期间男女生均可到校报名,校内登记处将按男、女生分类进行报名,请家长朋友关注排队。2、特别提示:家长必须带孩子来报名参加面试环节,否则不予登记)
温馨提示
1、 进行摸底登记时,需提供相关材料原件及复印件(用两个纸质档案袋分别装好),证件装订顺序为:1孩子户口页、2户口本首页、3监护人页、4实际住址证明、5医学出生证明、6接种证、7其他证明材料。
2、档案袋封面注明:孩子姓名、家长联系电话、实际住址代码、 及袋内证件名称 。
3 、凡在规定时间内进行了适龄人口居住情况摸底登记的适龄儿童少年,方可入学。
4、 报名地点:衡水市康复街小学
报名时间:上午8:00-11:00 下午3:00-5:30
适龄人口居住情况摸底登记
一、报名摸底登记时,需提供以下相关材料原件及复印件:
1、常住户籍人口适龄儿童
本人家庭户口本、父母(法定监护人)或本人房产证(全部产权,仅限居民住宅,不含营业房和商用房)、医学出生证明。父母(法定监护人)或本人无房产证的需区分以下情况,分别提供相关材料:
(1)房产证在银行抵押的:由抵押单位经办人和负责人分别签字的房产证复印件、经办人联系电话、抵押单位盖章、抵押*款贷**协议书或可证明房产证已在银行抵押的其他证件;
(2)已入住但房产证未办理的:房地产开发公司的购房合同或回迁合同(协议,民间契约或协议不作依据)、住建部门的购房发票。
(3)自有宅基建房的:宅基证。
(4)单位集资房的:单位产权证明、购房票据。
(5)享受政府经济适用房和公租房的:住建部门提供的有关审批手续证明材料。
(6)父母与祖(外祖)父母长期同户同住的:父母无房产证明、祖(外祖)父母房产证。
(7)租住房的:住建部门出具的无房产证明、住建部门的房屋租赁备案证(一年以上)。
(8)住单位宿舍的:住建部门出具的无房产证明、工作单位和社区及辖区派出所联合出具的居住证明。
2、外来进城务工及经商人员随迁子女入学
外来进城务工人员需提供父母双方的合法劳动合同和本地社会养老保险(两年以上,截止日期:2019年6月底。下同);经商人员需提供两年以上营业执照。并且同时提供以下材料:户口本、居住证、本地房产证、医学出生证明。父母(法定监护人)或本人无房产证的,依照以上八条情况,提供相关材料。
二、招生录取
学校依据《桃城区2019年适龄人口居住情况调查登记表》按新校区,对本校区的学生于8月25上午八点进行分批次录取并发放录取通知书:
第一批:本区有房产且符合区直小学入学条件的适龄人口(同等条件户籍优先)。
第二批:本人无房产的租房户,按住建局办理的房屋租赁备案证登记日期先后顺序录取,若学区内学额已满,则相对就近调剂录取(同等条件户籍优先)。
附件:学区分布图
http://139.129.107.182:8088/BaiDuMap/PMatchLocationNew.aspx
(注:请将上面的网址复制到手机或计算机浏览器中打开)
2019年适龄人口居住情况摸底登记衡水市康复街小学区域图及地域代码

2019年衡水市中华街小学招生公告
根据《桃城区教育局2019年义务教育阶段学校招生工作实施意见》,凡在2019年8月31日前(含31日,下同)年满六周岁的本市中心城区常住户籍人口和外来进城务工及经商随迁子女,需在桃城区公办学校接受义务教育的适龄儿童,以学生实际住址为准,以就近入学为原则,属于中华街小学校区内的,务必在8月16日(女生),8月17日(男生)带着孩子到我校进行适龄人口居住情况摸底登记。凡在规定时间内进行了适龄人口居住情况摸底和学位登记的适龄儿童少年,方可入学。
一、适龄人口居住情况摸底登记
进行摸底登记时,需提供以下相关材料原件及复印件。
1、常住户籍人口适龄儿童
本人家庭户口本、父母(法定监护人)或本人房产证(全部产权,仅限居民住宅,不含营业房和商用房)、医学出生证明。父母(法定监护人)或本人无房产证的需区分以下情况,分别提供相关材料:
(1)房产证在银行抵押的:由抵押单位经办人和负责人分别签字的房产证复印件、经办人联系电话、抵押单位盖章、抵押*款贷**协议书或可证明房产证已在银行抵押的其他证件;
(2)已入住但房产证未办理的:房地产开发公司的购房合同或回迁合同(协议,民间契约或协议不作依据)、住建部门的购房发票。
(3)自有宅基建房的:宅基证。
(4)单位集资房的:单位产权证明、购房票据。
(5)享受政府经济适用房和公租房的:住建部门提供的有关审批手续证明材料。
(6)父母与祖(外祖)父母长期同户同住的:父母无房产证明、祖(外祖)父母房产证。
(7)租住房的:住建部门出具的无房产证明、住建部门的房屋租赁备案证(一年以上)。
(8)住单位宿舍的:住建部门出具的无房产证明、工作单位和社区及辖区派出所联合出具的居住证明。
2、外来进城务工及经商人员随迁子女入学
外来进城务工人员需提供父母双方的合法劳动合同和本地社会养老保险(两年以上,截止日期:2019年6月底。下同);经商人员需提供两年以上营业执照。并且同时提供以下材料:户口本、居住证、本地房产证、医学出生证明。父母(法定监护人)或本人无房产证的,依照以上八条情况,提供相关材料。
二、招生录取
学校依据《桃城区2019年适龄人口居住情况调查登记表》按新校区,对本校区的学生于8月26日下午进行分批次录取并发放录取通知书:
第一批:本区有房产且符合区直小学入学条件的适龄人口(同等条件户籍优先)。
第二批:本人无房产的租房户,按住建局办理的房屋租赁备案证登记日期先后顺序录取,若学区内学额已满,则相对就近调剂录取(同等条件户籍优先)。
三、登记材料及要求
1、进行摸底登记时,需提供相关材料原件及复印件,复印件装订顺序为:(1)孩子户口页;(2)户口本首页;(3)监护人页;(4)实际住址证明;(5)医学出生证明;(6)其他证明材料。
2、孩子户口页复印件需填写:家长联系电话(两个)。
3、登记时间:上午8点到11点半,下午2点到5点半。
4、登记顺序:门口排队领号,依次序进入。
5、登记时带孩子一起来,有面试环节。
四、中华街小学区域图

衡水利民路小学2019招生公告
根据《桃城区教育局2019年义务教育阶段学校招生工作实施意见》,凡在2019年8月31日前(含31日,下同)年满六周岁的本市中心城区常住户籍人口和外来进城务工及经商随迁子女,需在我区公办学校接受义务教育的适龄儿童,以学生实际住址为准,以就近入学为原则,属于利民路小学校区内的,务必在8月15、16日到我校进行适龄人口居住情况摸底登记。(具体通知请看下方第二条——温馨提示)进行摸底登记时,需提供以下相关材料原件及复印件:
一、 区直小学适龄人口居住情况摸底登记
1、常住户籍人口适龄儿童
本人家庭户口本、父母(法定监护人)或本人房产证(全部产权,仅限居民住宅,不含营业房和商用房)、医学出生证明、免疫接种证。父母(法定监护人)或本人无房产证的需区分以下情况,分别提供相关材料:
(1)房产证在银行抵押的:由抵押单位经办人和负责人分别签字的房产证复印件、经办人联系电话、抵押单位盖章、抵押*款贷**协议书或可证明房产证已在银行抵押的其他证件;
(2)已入住但房产证未办理的:房地产开发公司的购房合同或回迁合同(协议,民间契约或协议不作依据)、住建部门的购房发票。
(3)自有宅基建房的:宅基证。
(4)单位集资房的:单位产权证明、购房票据。
(5)享受政府经济适用房和公租房的:住建部门提供的有关审批手续证明材料。
(6)父母与祖(外祖)父母长期同户同住的:父母无房产证明、祖(外祖)父母房产证。
(7)租住房的:住建部门出具的无房产证明、住建部门的房屋租赁备案证(一年以上)。
(8)住单位宿舍的:住建部门出具的无房产证明、工作单位和社区及辖区派出所联合出具的居住证明。
2、外来进城务工及经商人员随迁子女入学
外来进城务工人员需提供父母双方的合法劳动合同和本地社会养老保险(两年以上,截止日期:2019年6月底。下同);经商人员需提供两年以上营业执照。并且同时提供以下材料:户口本、居住证、本地房产证、医学出生证明。父母(法定监护人)或本人无房产证的,依照以上八条情况,提供相关材料。
二、 温馨提示
1、 进行摸底登记时,需提供相关材料原件及复印件(用两个档案袋分别装好),证件装订顺序为:1孩子户口页、2户口本首页、3监护人页、4实际住址证明、5医学出生证明、6接种证、7其他证明材料。
2、档案袋封面注明:孩子姓名、家长联系电话、实际住址代码、 及袋内证件名称 。
3 、凡在规定时间内进行了适龄人口居住情况摸底登记的适龄儿童少年,方可入学。
4、 报名地点:衡水市利民路小学。
报名时间:8月15日女生,16日男生。
(上午8:00——11:00 ;下午3:00——5:30)
三、2019年适龄人口居住情况摸底登记衡水市利民路小学区域图

注:原属我校区的乔村、周村、侯林、昊和沁园小区
今年划分到永安路小学。
原属我校区的乔村、周村、侯林、昊和沁园小区
今年划分到永安路小学。
原属我校区的乔村、周村、侯林、昊和沁园小区
今年划分到永安路小学。
四、 招生录取
本校依据《桃城区2019年适龄人口居住情况调查登记表》按新校区,对本校区的学生于8月28日(上午8:00-11:00 下午3:00-5:30) 进行录取并发放录取通知书。
2019年衡水市永兴路小学招生公告
根据《桃城区教育局2019年义务教育阶段学校招生工作实施意见》(衡区教【2019】139号)文件要求,凡在2019年8月31日前(含31日,下同)年满六周岁的本市中心城区常住户籍人口和外来进城务工及经商随迁子女,需在我区接受义务教育的适龄儿童,以学生实际住址为准,以就近入学为原则,属于永兴路小学校区内的,务必在8月15--16日上午8:00—11:00下午2:30—5:30到我校进行适龄人口居住情况摸底登记。
(注:1、报名期间男、女生均可到校报名,请家长关注排队。2、特别提示:家长必须带孩子来报名参加面试环节,否则不予登记。)
一、适龄人口居住情况
摸底登记
进行摸底登记时,需提供以下相关材料原件及复印件:
1、常住户籍人口适龄儿童
本人家庭户口本、父母(法定监护人)或本人房产证(全部产权,仅限居民住宅,不含营业房和商用房)、医学出生证明、免疫接种证。父母(法定监护人)或本人无房产证的需区分以下情况,分别提供相关材料:
(1)房产证在银行抵押的:由抵押单位经办人和负责人分别签字的房产证复印件、经办人联系电话、抵押单位盖章、抵押*款贷**协议书或可证明房产证已在银行抵押的其他证件。
(2)已入住但房产证未办理的:房地产开发公司的购房合同或回迁合同(协议,民间契约或协议不作依据)、住建部门的购房发票。
(3)自有宅基建房的:宅基证。
(4)单位集资房的:单位产权证明、购房票据。
(5)享受政府经济适用房和公租房的:住建部门提供的有关审批手续证明材料。
(6)父母与祖(外祖)父母长期同户同住的:父母无房产证明、祖(外祖)父母房产证。
(7)租住房的:住建部门出具的无房产证明、住建部门的房屋租赁备案证(一年以上)。
(8)住单位宿舍的:住建部门出具的无房产证明、工作单位和社区及辖区派出所联合出具的居住证明。
2、外来进城务工及经商人员随迁子女
外来进城务工人员需提供父母双方的合法劳动合同和本地社会养老保险(两年以上,截止日期:2019年6月底。下同);经商人员需提供两年以上营业执照。并且同时提供以下材料:户口本、居住证、本地房产证、医学出生证明。父母(法定监护人)或本人无房产证的,依照第一项八条情况,提供相关材料。
二、招生登记范围
中华大街与育才街之间(北至胜利路,南至滏阳河北岸);
育才大街与前进大街之间(北至永兴路,南至滏阳河北岸);
前进大街与宝云大街之间(北至宁安路,南至南环西路);
中心南大街以西,育才南大街以东,滏阳一路以北,滏阳河以南。
三、招生录取
依据《桃城区2019年适龄人口居住情况调查登记表》按新校区,对本校区的学生于8月25-26日进行分批次录取并发放录取通知书:
第一批:本区有房产且符合区直小学入学条件的适龄人口(同等条件户籍优先)。
第二批:本人无房产的租房户,按住建局办理的房屋租赁备案证登记日期先后顺序录取,若学区内学额已满,则相对就近调剂录取(同等条件户籍优先)。
四、温馨提示
1、凡在规定时间内进行了适龄人口居住情况摸底登记的适龄儿童,方可入学。
2、为方便查阅,可将登记材料复印件按如下顺序装订好:
(1)户口证明:户口本的首页、监护人页、孩子页。(2)实际住址证明(3)医学出生证明(4)接种证(5)其他证明材料
3、为节约登记时间,请在户口本首页复印件空白处按如下顺序注明:孩子的身份证号、姓名、性别、实际住址、实际住址代码(见代码图)、父母姓名及联系电话。
五、2019年适龄人口居住情况摸底登记我校区域图及代码图

(以上信息仅供参考,以各学校官方发布为准)

长按识别二维码 关注“衡水发布”
